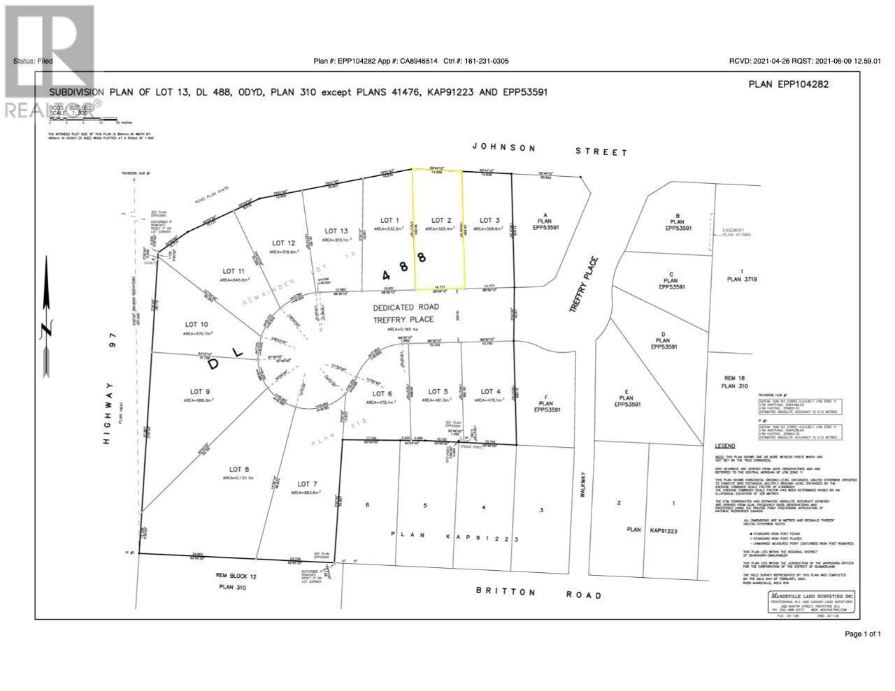
9700 Julia Street, Main Town, , V0H1Z5
- 0.18 Acres
Vacant Land
Summerland, British Columbia
Build Your Vision In The Heart Of Summerland 9700 Julia Street Is A Rare Opportunity To Secure A Fully Serviced Residential Lot In One Of Summerland’s Most Promising Central Locations. This 7,840 Sq.ft. Parcel Offers Flexibility, Convenienc ...(more)





















































